MIAMI (AP) - A stronger and bigger Hurricane Erin pelted parts of the Caribbean and was forecast to create dangerous surf and rip currents along the U.S. East Coast this week.
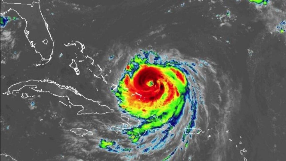
It reintensified to a Category 4 storm with 130 mph (215 kph) maximum sustained winds early Monday and moved closer to the Southeast Bahamas, according to the U.S. National Hurricane Center in Miami.
Around 5 a.m. Monday, Erin was about 105 miles (170 kilometers) north-northeast of Grand Turk Island and about 915 miles (1,470 kilometers) south-southeast of Cape Hatteras, North Carolina. The storm was moving northwest at 13 mph (20 kph).
The Bahamas government issued a Tropical Storm Watch for the central Bahamas, while a Tropical Storm Warning remained in effect for the Turks and Caicos Islands and southeast Bahamas, the hurricane center reported.
Additional strengthening was forecast for Monday followed by gradual weakening, but Erin was expected to remain a large, major hurricane into midweek.
Hurricane-force winds extended up to 60 miles (95 kilometers) from the center and tropical-storm-force winds extend outward up to 230 miles (370 km). The area of strong winds is expected to grow more over the next few days. At that size, Erin will impact coastal areas even though it isn't forecast to make a direct landfall.
Dare County, North Carolina, declared an emergency and ordered an evacuation beginning Monday of Hatteras Island on the Outer Banks, the thin stretch of low-lying barrier islands that juts far into the Atlantic. Several days of heavy surf and high winds and waves could wash out parts of N.C. Highway 12 running along the barrier islands, the National Weather Service said.
Erin, the year's first Atlantic hurricane, reached an exceedingly dangerous Category 5 status Saturday with 160 mph (260 kph) winds before weakening.
“You’re dealing with a major hurricane. The intensity is fluctuating. It’s a dangerous hurricane in any event,” Richard Pasch of the National Hurricane Center said.
Erin’s outer bands pelted parts of Puerto Rico and the Virgin Islands with heavy rains and tropical-storm winds during the day Sunday.
That knocked out power to about 147,000 customers, according to Luma Energy, a private company that oversees the transmission and distribution of power on the island. More than 20 flights were canceled due to the weather. The Coast Guard allowed all ports in Puerto Rico and the U.S. Virgin Islands to reopen Sunday as winds and rains decreased.
Rough ocean conditions were forecast for parts of the Virgin Islands, Puerto Rico, Hispaniola and the Turks and Caicos. Life-threatening surf and rip currents were forecast into midweek for the Bahamas, Bermuda, the U.S. East Coast and Canada's Atlantic coast as Erin turns north and then northeast.
***Please sign up for CBN Newsletters to ensure you receive the latest news UPDATES.***

Did you know?
God is everywhere—even in the news. That’s why we view every news story through the lens of faith. We are committed to delivering quality independent Christian journalism you can trust. But it takes a lot of hard work, time, and money to do what we do. Help us continue to be a voice for truth in the media by supporting CBN News for as little as $1.

Support CBN News







